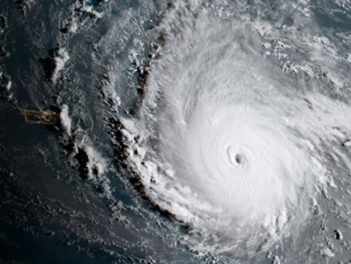
«Մարիա» արեւադարձային փոթորիկը՝ Ատլանտյան օվկիանոսում

Ատլանտյան օվկիանոսում՝ Հարավային Ամերիկայի ու Կարիբյան ծովի ափերից ոչ հեռու ձեւավորվել է «Մարիա» արեւադարձային փոթորիկը։ Այս մասին հայտնում է ԱՄՆ փոթորիկների նախազգուշացման կենտրոնը՝ կանխատեսելով փոթորկի ուժեղացում։ Կենտրոնի տվյալներով՝ հաջորդ շաբաթվա սկզբին «Մարիա» փոթորիկը կուժգնանա։ Այս պահին փոթորիկը շարժվում է արեւմտյան ուղղությամբ՝ մոտ 32 կմ/ժ արագությամբ։

դիտվել է 62 անգամ
Լրահոս
Ադրբեջանը հիստերիայի մեջ է ընկել Զատուլինի հայտարարությունից․ Արտակարգ և լիազոր դեսպան (video) Ինչպե՞ս կանխել Փաշինյանի խայտառակ թատրոնը․ ի՞նչ է սպասվում․ Արթուր Խաչիկյան (video) Փաստի առաջ ենք․ Փաշինյանի աշխատակազմից էլ չեն պատասխանում․ բնակիչների բողոքը (video) Կաշմառների մեջ ենք. բնակիչներն ահազանգում են (video) Երևան-Ապարան ավտոճանապարհին մեքենաներն արգելափակված են․ ի՞նչ իրավիճակ է այս պահին (video) Օդից կախված ենք, ձմեռը հազիվ են մարդիկ անցկացնում. բնակիչների բողոքի ակցիան (video) Փաստացի գազ չկա․․․ լա՛վ, մենք էլ ու՞մ դիմենք․․․ «Կոմիտաս Պարկ»-ի բնակիչների բողոքը (video) Հայաստանը՝ թնդանոթի միս․․․ ի՞նչ է բանակցում Ռուսաստանը․ Հայկ Այվազյան (video) «Երևան Սիթի»-ի հրդեհի ժամանակ փրկարար ծառայության պետի խայտառակ պահվածքը․այդպիսի բան չի՛ կարելի անել (video) Գագիկ Ծառուկյանի կարևորագույն առաջարկը․ Միքայել Մելքումյանը մանրամասնում է (video) Վաղը, եթե ՀՀ ԶՈՒ-ն զորավարժություն անի, ովքե՞ր են լինելու հավանական հակառակորդները․ Արտակ Զաքարյան (video) «Փաշինյանի կոշիկի տակ ճմռթվածնե՛ր, ձեզ հետ ո՞նց խոսենք»․ Նաիրա Զոհրաբյան (video) «Հրապարակ»․ Փաշինյանի կողմնակիցը 5 հազար դոլար է վերցրել «Հրապարակ»․ Մարտունու համայնքապետի տեղակալը՝ դատական սկանդալների կիզակետում Ահազանգ․ կեղտաջրերը լցվում են շենքերի բակեր, սեփական տներ, անգամ ննջասենյակներ և հյուրասենյակներ ՇՏԱՊ․ Նիկոլի կառավարությունից ասել են`չեն ուզում Վենսը Վեհափառին հանդիպի․ Հարութ Սասունյան (video) 2026 թվականին մարդկանց մեծ մասը գնալու է ընտրության՝ Փաշինյանին քվեով պատժելու համար. Բագրատ Միկոյան Փաշինյանի բերած աղետալի խաղաղությունը մենք արդեն տեսել ենք․ հիմա մի անելիք ունենք․ Նարինե Դիլբարյան (video) Արագածոտնի մարզում մերկասառույցի պատճառով առաջացել է մոտ 18 կիլոմետրի հասնող խցանում ԵՄ երկրներ ձուկ և ձկնամթերք արտահանելու նպատակով կկատարվեն օրենսդրական փոփոխություններ Նոր միջուկային մրցավազքի վերսկսման վտանգները. «Փաստ» «Հույս չունեմ, որ այստեղից կպրծնեմ, երկնքից կրակ է թափվում». Սերյոժա Փանոսյանն անմահացել է սեպտեմբերի 29-ին Հադրութում Այդ «լուծումը» ունի ներքաղաքական հիմք և այդ քայլով գնդերեցների ինստիտուտը բանակում փլուզվել է Կարգալույծները, կրթությունը կիսատ թողած մարդիկ են այսուհետ բանակում հոգևոր ծառայություն իրականացնելու. Տեր Պսակ Ոսկու գինն այսօր
Ամենաընթերցվածները
Շուտով
Փետրվարի 6-ին՝ ժամը 16։00-ին, Հայելի ակումբի հյուրն է Միասին շարժումից Ժասմինա Ղևոնդյանը Փետրվարի 6-ին՝ ժամը 15։00-ին, Հայելի ակումբի հյուրն է ազատամարտիկ Սեյրան Չիլինգարյանը Փետրվարի 6-ին՝ ժամը 14։00-ին, Հայելի ակումբի հյուրն է Մայր Հայաստանից Արշակ Սարգսյանը Փետրվարի 6-ին՝ ժամը 12։00-ին, Հայելի ակումբի հյուրն է Հայկ Այվազյանը Փետրվարի 6-ին՝ ժամը 11։00-ին, Հայելի ակումբի հյուրն է ՀՀ ԶՈՒ պահեստի գնդապետ Վոլոդյա Հովհաննիսյանը Փետրվարի 5-ին՝ ժամը 16։00-ին, Հայելի ակումբի հյուրն է «Համահայկական ճակատ» շարժման անդամ Ռուզան Ստեփանյանը Փետրվարի 5-ին՝ ժամը 15։00-ին, Հայելի ակումբի հյուրն է գյումրեցի իրավապաշտպան Կարապետ Պողոսյանը Փետրվարի 5-ին՝ ժամը 13։00-ին, Հայելի ակումբի հյուրն է լեզվաբան Նարինե Դիլբարյանը Փետրվարի 5-ին՝ ժամը 12։00-ին, Հայելի ակումբի հյուրն է արցախցի Անաստաս Իսրայելյանը Փետրվարի 4-ին՝ ժամը 11։00-ին, Հայելի ակումբի հյուրն է արցախցի Անաստաս Իսրայելյանը
Հետևեք մեզ Viber-ում https://cutt.ly/5wn8sJBS
Hayeli.am